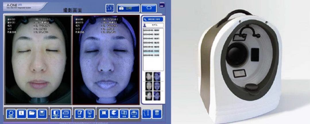
肌診断機 A-ONE パソコン付き
(3749件)
Pontaパス特典
サンキュー配送
201600円(税込)
2016ポイント(1%)
Pontaパス会員ならさらに+1%ポイント還元!
送料
(
)
3742
配送情報
お届け予定日:2026.04.19 5:53までにお届け
※一部地域・離島につきましては、表示のお届け予定日期間内にお届けできない場合があります。
ロットナンバー
7565244901
お買い物の前にチェック!
Pontaパス会員なら
ポイント+1%
ポイント+1%
商品説明
肌診断機械 A-ONE説明書、DVD付きパソコンも一緒にお送りします。ご縁がありましたらよろしくお願いいたします。家庭用美容器 メディリフト。ネット販売価格880,000円数年前に購入イベントで数回使用ダンボールは捨ててしまった為、しっかり梱包してから発送いたします。バイオテラベルト。脱毛ラボ DL003 DatsumoLabo FIVE SHAVE。レビュー
商品の評価:




4.7点(3749件)
- なたなかた
- とても迅速な対応でした。雰囲気もあり、これからドリップコーヒーを入れるのが楽しみです。大切に使わせていただきます。
- get51
- 数年前から使っていた同タイプのコーヒーメーカーが壊れたので新しいのを購入しました。ジェットブラック、前のよりおしゃれです。ガラスポットの蓋に管が付いていて、注ぐ時にこぼれることがなくなりました。 安いのに使い勝手がよく、夫婦二人の朝食時のコーヒーにはちょうどいいです。
- たいくつじるし
- お湯の量が見えるようになり、味のコントロールができるため重宝しています。ただ、マグカップのサイズが合っていても、形状によっては、注いだお湯がカップの外に漏れてしまう場合があります。縁が丸いカップの使用をお勧めします。
- はる1643
- 見た目も可愛くて便利です(^-^) 手軽にコーヒーを飲みたくて、気になって購入してみました。 収納するときはコンパクトになるのでそれもいいです(*^^*)
- くろミヤ18
- イベントのキッチンカーで初めてドリッパーを見ました。お店には置いてありません。最近、訪れたカフェで使ってるのを見て入れ方を教わりました。安定した味になるそうですが、未だわかりません。コーヒー豆を替えて楽しみたいと思ってますね。
- ak25439599
- 普段はインスタントしか飲まないけれど、豆を頂いてしまい急遽こちらを購入。 若干落ちるのが早い様な気もするが、やっぱペーパーレスはありがたい。 取っ手のシリコンが被ってるだけなので直ぐに外れてしまうのが残念。
- ぴっぴ2225
- 切削部分の下地処理が悪く、ざらざらした部分にはニスが塗られていない状態。色も悪くせっかくのオリガミドリッパーと合わず残念。プラスチックの方にすればよかったと後悔。
- zzz444
- 紙フィルターでは無いものを探していました。 デザインも機能的にも素晴らしいです。 アウトドアにも最適で大満足です。
- ち9870
- 前に使っていた物が割れてしまったので、換わりを探して購入。 シンプルでとても綺麗です。 ハリオの円錐ドリッパーでいれると美味しく感じます。
すべて見る
お店の情報
7,367
連絡・応対
4.3
配送スピード
4.3
梱包
4.3










